Kolorado vabalas – tai kenkėjas, kuris daugeliui daržininkų kasmet sukelia tą patį klausimą: kodėl, atrodo, darai viską teisingai, o bulvių lapai vis tiek nyksta? Iš savo patirties galiu pasakyti, kad problema dažniausiai slypi ne pasirinktose priemonėse, o neteisingame jų taikymo laike arba per dideliame pasitikėjime vienu metodu.
Šis vabalas pavojingas ne tik bulvėms. Jis puola ir baklažanus, pomidorus, kartais net laukines bulvinių šeimos piktžoles, kurios tampa savotišku „tiltu“ tarp sezonų. Jei kolorado vabalų populiacija nesuvaldoma laiku, nuostoliai gali būti labai dideli – nuo sulėtėjusio augimo iki ženkliai sumažėjusio derliaus.
| Kolorado vabalo vystymasis | |
|---|---|
| Suaugęs vabalas | Peržiemoja dirvoje, pavasarį aktyviai maitinasi lapais |
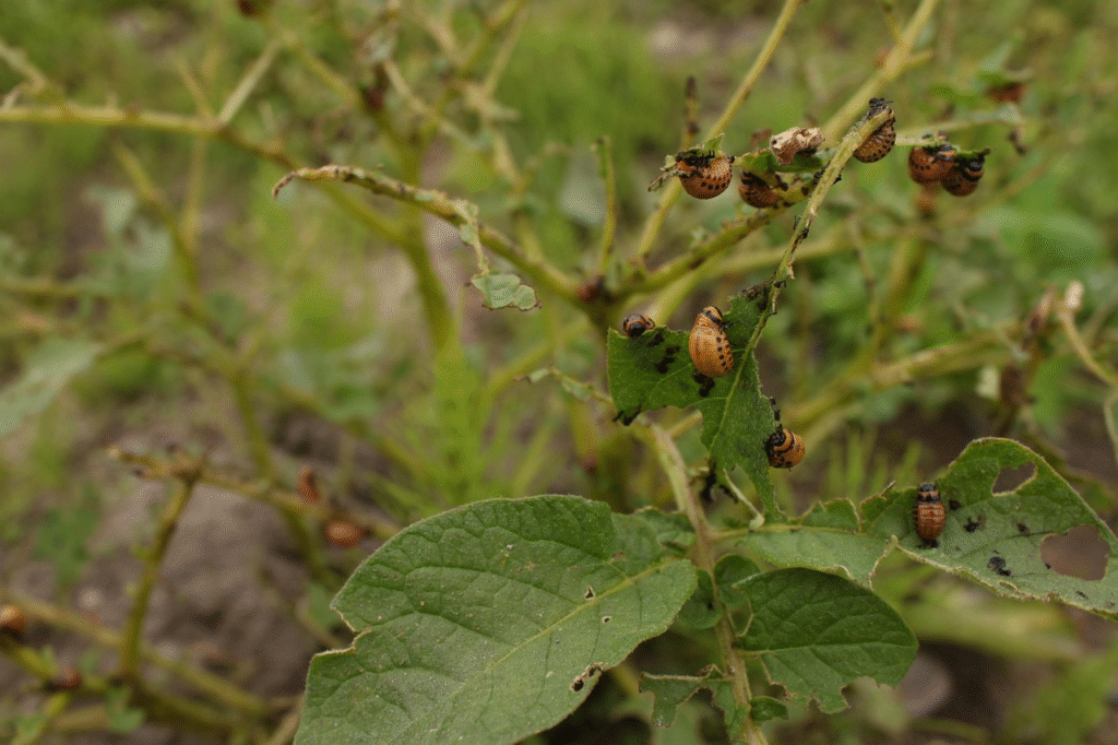
| Kiaušinėliai | Dedami lapų apatinėje pusėje, ryškiai oranžiniai |
| Lervos | Raudonos–oranžinės, labai ėdrios, pagrindinė žala |
| Lėliukė | Vystosi dirvoje, po kelių savaičių virsta vabalais |
| Kartų skaičius | 1–2 per sezoną, šiltais metais daugiau |
| Kaip nukenčia augalai? | |
|---|---|
| Lapų nugraužimas | Greitas žaliosios masės praradimas |
| Sulėtėjęs augimas | Augalas netenka energijos formuoti gumbus |
| Silpnas žydėjimas | Mažesnis ir vėlyvesnis derlius |
| Pakartotiniai pažeidimai | Augalo atsistatymas tampa neįmanomas |
| Derliaus nuostoliai | Gali siekti 30–80 % |
Kada pradėti kolorado vabalų naikinimą, kad neprarasti derliaus

Kovojant su kolorado vabalais svarbiausias veiksnys yra laikas, o ne priemonės stiprumas. Didžiausia klaida, kurią matau daržuose, – laukti, kol bulvių lapai bus jau akivaizdžiai apgraužti. Tuo metu kenkėjų populiacija dažniausiai būna peržengusi ribą, kai kovoti tampa lengva.
Pirmasis signalas visada yra suaugę vabalai. Vos tik pavasarį pradeda šilti orai ir bulvės leidžia pirmuosius lapus, būtina stebėti augalus. Jei pastebi pavienius vabalus, tai dar nėra tragedija – tai pats tinkamiausias metas imtis veiksmų. Šiame etape vabalų mažai, jie matomi ir lengvai suvaldomi.
Dar svarbesnis momentas – kiaušinėlių atsiradimas. Ryškiai oranžinės jų sankaupos lapų apatinėje pusėje yra aiškus ženklas, kad delsimas kainuos labai brangiai. Būtent šioje stadijoje sunaikinus kiaušinėlius galima iš karto sustabdyti šimtų lervų atsiradimą. Iš praktikos galiu pasakyti – tai pats efektyviausias ir mažiausiai darbo reikalaujantis etapas.
Jeigu šis momentas praleidžiamas, prasideda sudėtingiausia fazė – lervų antplūdis. Jaunos lervos dar yra jautrios daugeliui priemonių, tačiau jos auga itin greitai. Vos per kelias dienas jos iš mažų, sunkiai pastebimų padarų virsta itin ėdriais kenkėjais, galinčiais nuplėšti didelę dalį lapijos.
Svarbu suprasti, kad kolorado vabalų naikinimas nėra vienkartinis veiksmas. Net sėkmingai susitvarkius sezono pradžioje, kontrolę būtina tęsti visą vasarą, nes gali atsirasti nauja karta. Reguliari apžiūra kas kelias dienas dažnai būna daug veiksmingesnė nei bet kokia „stipri“ priemonė, panaudota per vėlai.
Mechaniniai ir prevenciniai būdai, kurie sudaro kovos su kolorado vabalais pagrindą

Mechaniniai ir prevenciniai būdai yra pati svarbiausia kolorado vabalų kontrolės dalis. Jei jie taikomi nuosekliai nuo pat sezono pradžios, dažnai pavyksta išvengti tiek masinio užkrato, tiek agresyvių priemonių.
Pats patikimiausias metodas – reguliarus rankinis rinkimas. Jis efektyviausias tada, kai vabalų dar nėra daug. Renkant svarbu pašalinti ne tik suaugusius vabalus, bet ir lervas bei kiaušinėlius. Pastarieji dažniausiai randami lapų apatinėje pusėje, todėl paviršinis apžiūrėjimas čia neveikia.
Kiaušinėlių naikinimas yra vienas efektyviausių prevencinių veiksmų. Pašalinus juos laiku, galima sustabdyti visos lervų bangos atsiradimą ir iš esmės sumažinti spaudimą augalams dar neprasidėjus didesnei žalai.
Didelę reikšmę turi sėjomaina. Kolorado vabalai pavasarį aktyviausiai ieško vietų, kuriose bulvės augo praėjusiais metais. Keičiant lysves, dalis vabalų tiesiog neranda maisto ir populiacija būna mažesnė.
Augalų būklė taip pat svarbi. Pertręšti augalai su labai minkštais lapais labiau vilioja vabalus ir prasčiau atsigauna po pažeidimų. Saikingas tręšimas ir tolygus augimas didina atsparumą.
Ankstyvuoju sezonu gali pasiteisinti ir laikini uždengimai, kurie riboja vabalų patekimą prie jaunų augalų. Tai ypač naudinga, kol bulvės dar silpnos.
Šie būdai sudaro tvirtą pagrindą visai tolesnei kovai. Be jų bet kokios kitos priemonės veikia tik trumpą laiką.
Natūralūs ir biologiniai būdai naikinti kolorado vabalus

Natūralūs ir biologiniai sprendimai skirti ne „išnaikinti viską iš karto“, o suvaldyti kolorado vabalų populiaciją taip, kad ji nepadarytų žalos derliui. Šie būdai veikia geriausiai tada, kai taikomi laiku ir derinami tarpusavyje.
Biologiniai preparatai su Bacillus thuringiensis
Preparatai, kurių sudėtyje yra Bacillus thuringiensis, veikia kolorado vabalo lervas. Patekę į jų virškinimo sistemą, jie sustabdo maitinimąsi, o po kelių dienų lervos žūsta. Šie preparatai efektyvūs tik prieš jaunas lervas, todėl purškimo laikas yra lemiamas. Paaugusių lervų jie beveik neveikia.
Augaliniai nuovirai ir užpilai
Augaliniai nuovirai veikia kaip atbaidymo ir trikdymo priemonė. Jie neleidžia vabalams jaustis „patogiai“ ant augalų, tačiau patys savaime problemos neišsprendžia. Dažniausiai naudojami česnako, pelyno ar dilgėlių nuovirai. Juos reikia purkšti reguliariai ir pakartoti po lietaus, kitaip poveikis greitai dingsta.
Natūralių priešų skatinimas
Kolorado vabalo kiaušinėlius ir lervas naikina kai kurie plėšrūs vabzdžiai bei paukščiai. Biologinė įvairovė darže – žydintys augalai, nepernelyg „sterili“ aplinka – sudaro sąlygas šiems natūraliems priešams įsitvirtinti. Nors tai nėra greitas sprendimas, ilgainiui jis padeda sumažinti kenkėjų protrūkių mastą.
Kodėl biologiniai metodai neveikia akimirksniu
Biologinės priemonės neveikia taip greitai kaip chemija. Jų tikslas – stabdyti populiacijos augimą, o ne sunaikinti visus vabalus per vieną dieną. Todėl jos duoda geriausią rezultatą tada, kai naudojamos nuosekliai, kartu su stebėjimu ir mechaniniais veiksmais.
Kada verta naudoti chemines priemones ir kaip tai daryti saugiai

Chemines priemones verta rinktis tik tada, kai kolorado vabalų kiekis tampa kritinis ir kiti metodai nebespėja apsaugoti augalų. Tai dažniausiai nutinka šiltais metais, kai lervų labai daug, o bulvės dar aktyviai auga ir formuoja derlių. Purkšti „dėl viso pikto“ – bloga praktika, kuri ilgainiui tik pablogina situaciją.
Kada chemija pateisinama
Cheminis naikinimas turi prasmę, kai ant augalų matoma daug lervų, lapija sparčiai nyksta, o rankinis rinkimas ar biologinės priemonės nebėra efektyvios. Ypač pavojinga situacija, kai pažeidžiami jauni augalai – tada derliaus nuostoliai gali būti labai dideli.
Kaip pasirinkti tinkamą preparatą
Svarbu rinktis registruotus preparatus, skirtus būtent kolorado vabalo kontrolei. Plataus veikimo insekticidai naikina ir naudingus vabzdžius, todėl jų reikėtų vengti. Taip pat svarbu nekeisti tik pavadinimo, o keisti veikliąją medžiagą, nes kolorado vabalai greitai įgyja atsparumą.
Tinkamas purškimo laikas
Geriausia purkšti anksti ryte arba vakare, kai nėra kaitros ir aktyvių apdulkintojų. Purškiant būtina pasiekti lapų apatinę pusę, kur dažniausiai būna lervos. Purškimas per karštį ar prieš lietų ženkliai sumažina efektyvumą.
Saugos ir karencijos laikymasis
Naudojant chemines priemones būtina laikytis apsaugos reikalavimų ir griežtai paisyti karencijos laikotarpio. Tai svarbu ne tik dėl derliaus saugumo, bet ir dėl žmogaus sveikatos. Cheminės priemonės turi būti naudojamos atsakingai ir tik tada, kai to tikrai reikia.
Dažniausios klaidos kovojant su kolorado vabalais ir kaip jų išvengti

Net ir naudojant tinkamas priemones, kolorado vabalai dažnai išlieka problema dėl pasikartojančių klaidų. Dažniausiai jos kyla ne dėl žinių trūkumo, o dėl neteisingo požiūrio į pačią kovą.
Per vėlyvas reagavimas
Laukiama, kol lapai bus stipriai apgraužti, ir tik tada imamasi veiksmų. Tuo metu vabalų ir lervų jau būna per daug, o augalai patyrę didelį stresą. Efektyviausia kova prasideda pamačius pirmuosius vabalus ar kiaušinėlius.
Tik vieno metodo naudojimas
Pasikliauti tik rankiniu rinkimu, tik biologiniais ar tik cheminiais būdais dažniausiai nepakanka. Kolorado vabalas greitai prisitaiko, todėl geriausi rezultatai pasiekiami derinant kelis metodus.
Netinkamas purškimo laikas
Purškiant per karštį, dienos metu ar prieš lietų, priemonių veiksmingumas stipriai sumažėja. Be to, taip galima pakenkti bitėms ir kitiems naudingiems vabzdžiams.
Tų pačių preparatų kartojimas
Nuolat naudojant tą pačią veikliąją medžiagą, kolorado vabalai tampa atsparūs. Preparatus būtina keisti ir nenaudoti chemijos kaip nuolatinio sprendimo.
Apleista daržo higiena
Nepalikti bulvienojų likučiai, piktžolės ar neprižiūrėta dirva sudaro puikias sąlygas vabalams peržiemoti. Tvarkingas daržas rudenį sumažina problemą kitais metais.

















